Pennhip Evaluation

Relationships

PennHIP is more than just a radiographic technique. It is also a network of veterinarians trained to perform the PennHIP methodology properly and, perhaps most importantly, it is a large scientific database that houses the PennHIP data. Radiographs are made by certified PennHIP members worldwide and are sent to the PennHIP Analysis Center for evaluation. The resulting data is stored in the database, which is continually monitored as it expands. As more information becomes available, the PennHIP laboratory is able to obtain more precise answers to questions about the etiology, prediction and genetic basis of hip dysplasia.

PennHIP publishes its findings in scientific journals. Published information is disseminated to all PennHIP members; it is also shared with interested breed clubs and routinely appears in publications within the dog fancy.

PennHIP is composed of three major components:

  • A diagnostic radiographic technique
  • A network of trained veterinarians
  • A medical database for scientific analysis

PennHIP at a Glance

The PennHIP method is a novel way to assess, measure and interpret hip joint laxity. It consists of three separate radiographs: the distraction view, thecompression view and the hip-extended view. The distraction view and compression view are used to obtain accurate and precise measurements of joint laxity and congruity. The hip-extended view is used to obtain supplementary information regarding the existence of osteoarthritis (OA) of the hip joint. (The hip-extended view is the conventional radiographic view used to evaluate the integrity of the canine hip joint.) The PennHIP technique is more accurate than the current standard, and it has been shown to be a better predictor for the onset of OA.

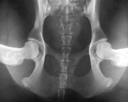
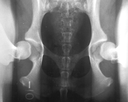
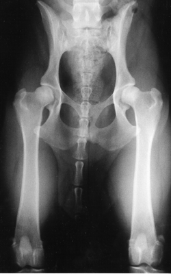
The radiographs pictured here are of the same dog, yet the hip joint laxities in each view look very different. Notice that the hips in the distraction view appear to be much looser than they do in the hip-extended view.

Distraction View Compression View Hip-Extended View

The looser the joint on the distraction view, the greater is the chance that the hip will develop OA. The hip-extended view tends to mask true hip joint laxity because the joint capsule is wound up into a tightened orientation when the hips are extended. This explains why measurable joint laxity on the distraction view is always greater than the measurable laxity from the hip-extended view. In fact, distraction laxity is up to 11 times greater depending on the breed of dog under study.

The compression view is used to determine the "goodness of fit" of the femoral heads into the acetabula. In a hip with OA, the remodeling that occurs in the acetabulum and/or the femoral head, will often result in an ill-fitting "ball" and "socket".

To summarize, PennHIP method:

  • Obtains OA readings from the standard hip-extended view
  • Obtains hip joint congruity readings from the compression view
  • Obtains quantitative measurements of hip joint laxity from the distraction view

Location

Find us on the map